以文明城市创建为契机,九江市老旧小区改造目前正稳步推进,2019年九江市纳入中央补助支持城镇老旧小区改造目前已改造完工82个小区、46622户、2437栋,改造完工率83.67%,完成改造面积455.028万平方米,累计完成投资额12.12亿元。
2020年九江市纳入中央补助支持城镇老旧小区改造有35个小区、7796户、499栋、77.72万平方米,目前已有34个项目正在进行改造,已改造完成1个,累计完成投资额0.91亿元。我市累计已下达中央补助资金13.0763亿。
01倾斜摄影实景三维建模技术的特点
近年来,随着大疆无人机的平民化,基于倾斜摄影以及近景摄影测量技术的实景三维建模在城市建设与管理等方面有着广泛的应用,具有如下特点:
(1)时态化留存实景场景,让实景场景停留在某时某刻,为老旧小区化改造保留真实可靠的原始实景三维数据;
(2)厘米级精度的实景三维模型能为老旧小区改造规划方案及决策提供现实依据;
(3)可视化、可量测、改造前后可对比,可应用于施工管理、结算审计,减少了项目各参与主体方的争议。
(4)快速精准,有图有真相,与传统测量相比,减少了人力物力,缩短了测量工期,为设计方案、投标方案争取更多的时间。
(5)小区改造,验收时难以近距离实勘实量,且存在安全风险,实景三维模型的出现,项目各参与主体方在办公室就可以清晰复核相关立面数据,不需要再爬上爬下,拉皮尺。
02设备选用
飞行平台:大疆M300RTK无人机、大疆精灵4PRO
倾斜载荷:大疆P1相机
建模软件:Context capture、大疆智图
制图软件:天正CAD、南方cass3d、EPS
辅助设备:测距仪、3D扫描仪
03倾斜摄影建模流程
04实景三维模型应用案例
一,改造前勘测(业主/设计院委托)
本项目位于某县,测区范围约8万平方米,区域内地势平坦,平均高差不超过1米,平均高程为17米,建筑物较为密集,主要以7层老旧建筑物为主。受设计单位委托,我公司科学制定航测方案,运用倾斜摄影及近景摄影测量技术快速对测区建筑物进行精细化实景三维建模,和设计单位积极配合,流水作业,按时完成业主交付的勘测设计任务,同时因为精细化实景三维模型360°可视化、可测可量、快速精准等特点,为业主的决策提供了可视化依据,深受业主单位认可。
本项目共计均匀布设测绘像控点5个,测量检查点2个,飞行平台采用大疆精灵PHANTOM 4 RTK,飞行高度60米,运用倾斜摄影及近景摄影测量技术联合拍摄航片,鉴于三维模型精细化表达需要,航线设计通常采取航向重叠度80%以上,旁向重叠度70%左右。
三维实景模型
改造设计效果图
三维实景模型近景(局部)
CAD建筑立面制图成果(局部)
二,改造中工程量复核(施工单位委托)
某县乡村振兴集镇改造项目,沿街外立面改造,改造长度约1.2km,测区范围约8.5万平方米,施工单位进场后,通过图纸和现场比对,发现设计图纸有较多估算内容,为保障结算有据可依,施工单位委托我公司对改造建筑外立面进行复核。由于传统测量方法,人力物力消耗量较大,测绘工期较长,施工单位工期紧、任务重,业主要求立即开工,留给复核工程量的时间有限,为此,通过我公司对该项目特征的分析,制定测量方案,运用倾斜摄影及近景摄影测量技术,仅用一天时间完成外业数据采集,通过大疆智图快速建模,1:1还原实景现场,留存改造前可视化实景模型。在不耽误施工单位及时进场开工的同时,我公司组织技术人员,依据实景三维模型,抓时间绘制建筑立面图,核算工程量,和中标清单数量对比,及时向业主提出工程量漏算及少算汇总表,保障了按照招标文件规定的时间内完成工程复核。
区域内地势平坦,平均高差不超过8米,平均高程为31米,建筑物较为密集,建筑高度10-60米,有较大高差,本项目共计均匀布设测绘像控点5个,测量检查点2个,飞行平台采用大疆精灵PHANTOM 4 RTK,飞行高度80米,运用倾斜摄影及近景摄影测量技术联合拍摄航片。
测区范围
改造前实景模型(局部)
改造前实景模型近景(局部)
改造后实景模型(局部)
测绘技术报告(局部)
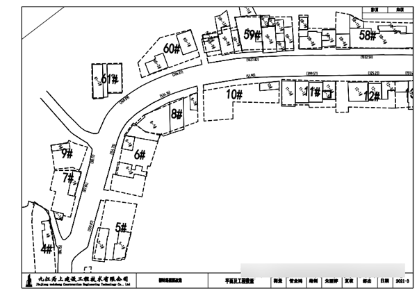
屋面测量平面布置图(局部)
屋面实景影像(局部)
本文案例来源:江西为上建设工程咨询有限公司